
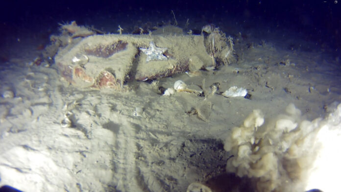
1975 yılında Marmara Denizi’ne gömülen THY’nin “Bursa” uçağı için başlatılan arama çalışmalarında, uçağın gövdesine ait olduğu değerlendirilen metal parçalar görüntülendi. Gönüllü ekiplerin sonar cihazlarıyla yaptığı 7 saatlik tarama, yarım asırlık gizemi aydınlatacak ipuçlarını sundu.



